From Grape to Glass
Below is the story of the life in the vineyard starting with winter pruning through to harvest.
May-August: Winter pruning
Pruning happens over winter. For this we bring in loads of extra people as we have about 125,000 vines to prune! We use two types of pruning - spur and cane. Spur pruning is where the old wood is keep every year, and cane pruning is where new canes are laid down each year.
Read more and see pruning in action here >
September-October: Frost Fighting
Pruning continues, but we are now frost fighting to protect the tender shoots that are emerging. Frost damage can wipe out an entire crop so we use helicopters, wind machines and frost pots to keep everything warm.
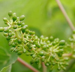
November-December: Flowering
Tiny bunches of grapes emerge. Rain around this time of the year can inhibit flowering and limit the crop.
January-March: Growth
This is the time of the year where we work hard to contain the canopy (leaves) and allow enough sunshine to help with ripening and air to help avoid botrytis taking hold. Veraison (grapes changing colour) happens in late January and means we put the nets on our red grapes to avoid the birds taking far too much of their share.
You can see a video and read more about nets going on here >
April-May: Harvest
From late March through to late May we are harvesting grapes. Nearly all our grapes are machine harvested and brought into our winery right away for processing. Once all the grapes are harvested, we start on pruning again.




